• reisdag
  • 1
  • 2
  • 3
  • 4
  • 5
  • 6
  • 7
  • 8
  • 9
  • 10
  • 11
  • 12
  • 13
  • 14
  • 15
  • 16
  • 17
  • 18
  • 19
  • 20
  • 21
  • 22
  • Home
  • Reisroute
  • Dierenwereld
  • Contact






Dag 17, Maratua, een dagje rust en snorkelen.

We hebben vandaag een lekkere rustige dag, dus die beginnen we ook met lekker rustig aan doen. Half acht staan we pas op en ruim na achten lopen we de steiger op naar het ontbijt. We nemen alle tijd voor onszelf want pas eind van de ochtend hebben we afgesproken met Rickey om weer te gaan snorkelen bij het restaurant.
Rickey heeft andere maskers bij zich. Full face maskers, een grote en kleine. Helaas is alleen de grootste passend voor ons beiden. Dus Ans neemt het masker en ik ga het water in met de traditionele bril met luchtpijp. Als Ans na een poosje stopt neem ik het grote masker van haar over en ik moet zeggen, ideaal. In ieder geval om te ademen. Een klein minpuntje is dat het eigenlijk alleen geschikt is voor snorkelen aan de oppervlakte. Maar ik was toch niet van plan om dieper te duiken.
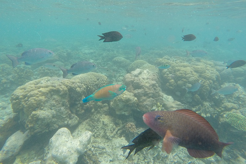
Ook nu zwemmen we weer boven het koraal rond het restaurant, maar we vinden het beiden een geweldige plek met een grote variatie aan vissen.


Ook de middag is relaxen, met na de lunch wat wandelen, een fotootje maken, wat lezen, appen en genieten van het lekkere weer.
Om half vijf gaan we nog een keer snorkelen. Nog een grote maat full face masker is niet gelukt, dus Ans neemt deze en ik weer de bril. Rickey heeft voor mij wel een grotere maat zwemvliezen meegenomen. De vinnen van vanochtend zorgden voor drie tenen met pleisters.
Het onweert in de verte en voor Ans is dit reden om het water te verlaten. Met het grote masker op zwem ik met Rickey iets verder van het restaurant af waar het koraal stukken mooier, voller en kleurrijker is. Qua vissen is het overal geweldig.
We nemen alle tijd om te genieten tot het onweer steeds dichterbij komt en het ook donkerder begint te worden. Tijd om het water uit te gaan.


Terug op de kamer nemen we een warme douche, genieten we rond half acht weer van een lekker diner waarna we tot half tien gezellig zitten te kletsen met het Nederlandse echtpaar, Mathi en Jeroen. Wij vertrekken morgen naar Sangalaki, ons volgende bounty eilandje. Overmorgen volgen zij ons daar naar toe, dus zien we elkaar weer.
De poederkoffie die we onbeperkt kunnen nemen kan bij lange na niet tippen aan de overheerlijk Americano die de barista voor ons maakt.
Terug op de kamer maak ik een backup van de Gopro filmpjes en foto's naar het tablet en is het bijna elf uur voordat we op bed liggen.

copyright: 2025 - kalimantan.gradstaat.nl